Datei:Pdf Wiki.pdf

Aus FürthWiki

Link zur Indexseite
Gehe zu Seite


Originaldatei(1.485 × 989 Pixel, Dateigröße: 23,74 MB, MIME-Typ: application/pdf, 6 Seiten)

Bildinformationen

Datei:Pdf Wiki.pdf
GenrePläne und Kartenwerke
VerkehrsmittelBahnstrecke Nürnberg-Bamberg, Eisenbahn
GebäudeBahnhof Vach
UrheberDeutsche Reichsbahn
QuellangabenSammlung Michael Smolarczik und Norbert Pietsch
StraßeHerboldshofer Straßeausgeblendet:Nein
OrtStadelnausgeblendet:Nein
DateiartDokumentDateityppdf
Erstellungsdatum1935
LizenzCC BY-SA 3.0
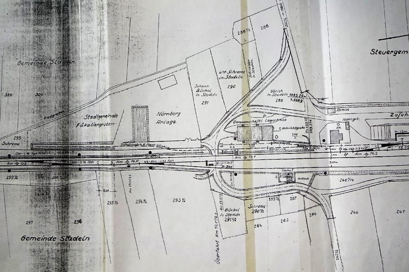
Beschreibungalter Übersichtsplan der kompletten Bahnhofsanlage vom Bahnhof Vach mit der Fäkalienentladestation der Stadt Nürnberg und dem Industriegleisanschluss mit Drehscheibe der Firma Pretzfelder später Leistritz von der Reichsbahndirektion Nbg. von 1935.
Dateiinfo
(Bild-Unterschrift und Info-Box,
automatisch erstellt)
alter Übersichtsplan der kompletten Bahnhofsanlage vom Bahnhof Vach mit der Fäkalienentladestation ... alter Übersichtsplan der kompletten Bahnhofsanlage vom Bahnhof Vach mit der Fäkalienentladestation der Stadt Nürnberg und dem Industriegleisanschluss mit Drehscheibe der Firma Pretzfelder später Leistritz von der Reichsbahndirektion Nbg. von 1935.<br>Urheber: Deutsche Reichsbahn<br><br>Lizenz: CC BY-SA 3.0
Medienbetrachter-Zeile
(automatisch erstellt)
Sammlung Michael Smolarczik und Norbert Pietsch  ▽ mehr Infos ▽
Erstellungsdatum,
(ISO-Notation automatisch erstellt)
1935
Semantisches BrowsenSemantisches Browsen / Bilder-Suche

Einbindung in Artikelseite

Formular-Ausschnitt am Beispiel Rathaus (Gebäude)

Die Aufnahme in die Bilder-Galerie einer Artikelseite (Abschnitt Bilder) erfolgt automatisch, wenn hier im Formular die passenden Daten eingetragen werden. Z.B. wird dieses Bild dann in der Bilder-Galerie einer Gebäude-Artikelseite angezeigt, wenn hier im Formular das Gebäude exakt(!) mit seinem Seitennamen eingetragen ist (siehe rechts). Für die anderen Artikel-Klassen (Personen, Straßen, Unternehmen usw.) gilt dies analog.

Die Einbindung im Artikeltext (nicht Bilder-Galerie!) kann ohne Box durch Einfügen von {{Bildbox|Bildname.jpg}} bzw. mit Box mittels {{Bildbox|Bildname.jpg|Box-Überschrift}} erfolgen. Bildname.jpg und Box-Überschrift sind entsprechend zu ändern.

Die Bild-Unterschrift in der Bilder-Galerie als auch in der Bildbox entspricht dabei der hier im Formular eingetragenen Beschreibung.

Siehe auch Hilfe-Seite Grundregeln zur Artikel-Gestaltung, Abschnitt Bilddarstellung

Lizenz

Creative Commons License
Creative Commons Attribution iconCreative Commons Share Alike icon
Diese Datei steht unter der Creative Commons-Lizenz
Namensnennung - Weitergabe unter gleichen Bedingungen 3.0


alter Übersichtsplan der kompletten Bahnhofsanlage vom Bahnhof Vach mit der Fäkalienentladestation der Stadt Nürnberg und dem Industriegleisanschluss mit Drehscheibe der Firma Pretzfelder später Leistritz von der Reichsbahndirektion Nbg. von 1935.

Dateiversionen

Klicke auf einen Zeitpunkt, um diese Version zu laden.

Version vomVorschaubildMaßeBenutzerKommentar
aktuell13:21, 27. Jul. 2020Vorschaubild der Version vom 13:21, 27. Jul. 20201.485 × 989, 6 Seiten (23,74 MB)Nobbi48 (Diskussion | Beiträge)
17:07, 26. Jul. 2020Vorschaubild der Version vom 17:07, 26. Jul. 20201.562 × 1.041, 7 Seiten (33,11 MB)Nobbi48 (Diskussion | Beiträge){{Bild}} alter Übersichtsplan der kompletten Bahnhofsanlage vom Bahnhof Vach mit der Fäkalienentladestation der Stadt Nürnberg und dem Industriegleisanschluss mit Drehscheibe der Firma Pretzfelder später Leistritz von der Reichsbahndirektio…

Die folgenden 4 Seiten verwenden diese Datei:

Metadaten